Super Typhoon Sinlaku: Devastating Storm Hits US Territories.
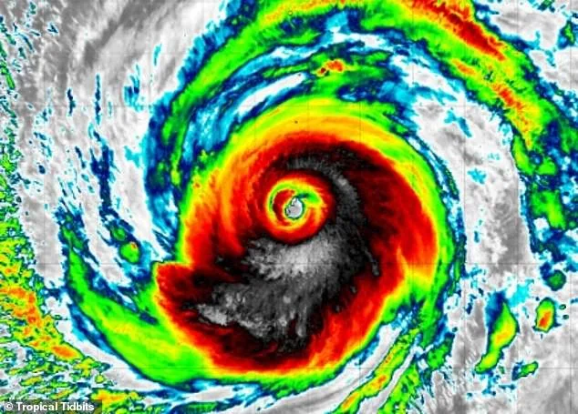
Super Typhoon Sinlaku, a massive Category 5 storm packing sustained winds of 173 mph, is racing toward U.S. territories in the Pacific. The storm, which became the most powerful of the current Pacific tropical storm season on Monday, threatens the Northern Mariana Islands—specifically Saipan, Tinian, and Rota—as well as Guam.
The storm's arrival on Tuesday night poses a severe threat to both local residents and the thousands of tourists currently in the region. The National Weather Service (NWS) warned that the system will bring "destructive winds, widespread heavy rain/flooding, thunderstorms, and coastal impacts to the Marianas Islands into Wednesday." Beyond the immediate wind damage, the storm threatens to trigger widespread blackouts and significant flooding.

The human impact is already unfolding. The storm has stranded nearly 2,000 tourists across the U.S. territories, and the governor's office in Guam reported on Tuesday that canceled flights have prevented approximately 1,500 visitors from returning home. While Guam, which holds a population of more than 170,000, may only experience tropical storm-like conditions, the Northern Mariana Islands face a direct hit.

The scale of potential devastation brings memories of Typhoon Yutu, which devastated the Northern Mariana Islands in 2018 and left the local economy struggling for years. Sinlaku has shown a similar capacity for rapid intensification, morphing into a Category 5 storm in only two days.
Meteorologist Landon Aydlett of the NWS noted that the storm has entered a significant slowdown, a development that could extend the period of destruction. "It’s going to be a very long night," Aydlett said, according to the Pacific Daily News.

In response to the escalating crisis, President Trump approved emergency disaster declarations for both Guam and the Northern Mariana Islands on Sunday. This move allows FEMA and other relief agencies to mobilize supplies and recovery resources. Meanwhile, the U.S. military stationed on Guam has received orders to shelter in place.
The immediate physical impact of the high winds and heavy rain may last roughly 24 hours, but the community faces a much longer struggle. The aftermath of power outages and the cleanup from flooding could disrupt life across the islands for weeks or even months.

The storm's arrival occurs within the broader Pacific typhoon season, which runs from mid-February through early December. As the Pacific faces Sinlaku, the Atlantic prepares for its own upcoming risks; hurricane season begins June 1, and AccuWeather has projected that as many as five tropical cyclones could directly impact the U.S. mainland in 2026.
A massive typhoon is barreling toward the Mariana Islands, bringing the threat of sustained winds exceeding 140 mph this Tuesday. The storm has already begun tearing through property across the region, leaving residents and travelers in a state of high alert. "Many of you up there in the CNMI probably have a sleepless night, as it's going to be very loud, a lot of action going on and unfortunately, a lot of damage," one observer warned.

The approaching storm has left hundreds of travelers stranded. Approximately 400 tourists are believed to be trapped within the US commonwealth, where a population of roughly 47,000 resides primarily on Saipan. This uncertainty extends to both the Northern Mariana Islands and Guam, as the typhoon’s path threatens the very foundations of the islands' tourism-driven economy, which relies heavily on WWII history, diving, and pristine beaches.

The 14-island archipelago, comprising Saipan, Tinian, and Rota, holds a unique political position. While residents are US citizens, they lack the right to vote in federal elections. However, a 1975 agreement with Congress grants these islands greater self-governing autonomy than other US commonwealths. Despite the official use of English, the looming disaster threatens a community that is both culturally distinct and politically complex.
Beyond the immediate danger to civilians, the storm poses a significant risk to critical US military infrastructure. Guam serves as a vital hub for the US Pacific Fleet. Andersen Air Force Base, which occupies a portion of the island, supports long-range bombers like the B-52 and B-2—aircraft capable of carrying nuclear weapons. Simultaneously, Naval Base Guam provides essential logistics and houses attack submarines. With military installations covering about one-third of Guam, the typhoon’s impact could disrupt one of the most important strategic outposts in the western Pacific.